الرفاعية (زاوية-)
رفاعيه (زاويه)
-
¢ الرفاعية
¢ الرفاعية (الزاوية -)
لمياء جاسر
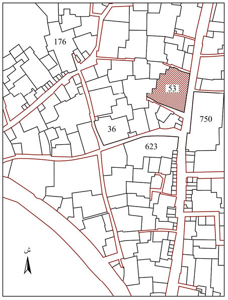
تقع في مدينة حلب في حي البياضة شارع الرفاعي تجاه جامع البياضة (السروي)، منطقة عقارية (10).عمّرها الوزير محمد باشا الأرناؤوط لنزيل حلب الشيخ إخلاص الخلوتي (ت:1074هـ/1663م)، وسُميت بالرفاعية لأنها على الطريقة الرفاعية. وفوق باب قبليتها نصٌّ شعريٌّ يؤرخ المبنى إلى سنة 1044هـ/1634م.والزاوية حسنة البناء متقنة العمارة، تتكون من طابقين. بُنيت الخلوات حول الباحة، وضمَّت المطبخ والميضأة والسبيل،وكان فيها مكتبة؛ إلا أنها تبعثرت ونُقل ما بقي منها إلى مكتبة الأوقاف. وقد جاءت مشتملات الزاوية في سجلات مديرية الأوقاف كالتالي: «مغارة تحت الأرض للمونة ودرج حجري، وطابق أرضي فيه قبو للمونة وسبعة محلات للسكن وممشى مسقوف ودرج حجري ومسجد للعبادة يحتوي على ميدان (المكان الذي تجري فيه الأذكار والسماع على الطريقة الصوفية) وتسع خلوات خشبية وغرفة صغيرة وفسحة دار مكشوفة وثلاث آبار ماء، وطابق أول فيه سبعة محلات للسكن وفسحة مسقوفـة وفناء مسقوف ودرج حجري وبئر ماء».
![]() |
الموقع العام |
يتكون مخطط البناء من مدخل موجّه شرقاً يتألف من باب يليه دهليز سُقِف بقبوتين متقاطعتين- شماليه غرفة السبيل (تستعمل مطهرة) - وهو يؤدي غرباً إلى باحة يحدها شمالاً غرفتان وإيوان صغير، ويحدها شرقاً دهليز المدخل وشرفة ترتفع ثلاث درجات عنها تؤدي إلى غرفة جنوباً وقاعة شرقاً. تسقف الغرفة قبوتان متقاطعتان معلقتان، ويسقف القاعة سقف مستو خشبي يمتد فوق جذوع الشجر. ويحدُّ الباحة جنوباً- بدءاً من الغرب- ميضأة ثم دهليز سُقِف بقبوة متقاطعة يؤدي إلى القبلية جنوباً وإلى الميضأة غرباً. ويحد الباحة غرباً أربع غرف للمتصوفة تسقف كلاً منها قبوة متقاطعة، الأخيرة منها شمالاً متهدمة.الباحة شبه مربعة الشكل مهملة اقتلعت حجارتها، وتضم حوض زرع كبيراً فيه أشجار.
![]() |
تنقسم القبلية إلى ثلاثة أقسام بوساطة عقدين ثنائيَّين مدبَّبين وأبلقين يستندان إلى ظفرين مقرنصين ملتحمين بالجدارين في الطرفين - الجنوبي والشمالي- وعمود مقرنص في الوسط. يضم القسم الشرقي ثلاث نوافذ تطل على الشارع شرقاً، وباباً يؤدي إلى غرفة صغيرة تقع في الزاوية الجنوبية الشرقية جنوباً، وباباً آخر يؤدي إلى غرفة شمالاً. ويضم القسم الغربي فاصلاً خشبياً فيه أربعة أبواب تؤدي إلى خلوات خشبية. ويضم الجدار الجنوبي منالقسم الأوسط محراباً بسيطاً على طرفيه ظفران مزخرفان. سُقِف كلٌّ من القسمين الطرفيَّيـن بقبـوة أسطوانية مدبّبة؛ في حين سُقِف القسم الأوسط بقبة منخفضة رُسم على قمتها أشكال نباتية. وقد تمَّ الانتقال من الشكل المربع إلى الشكل المضلَّع بمثلَّثين هرميَّيـن مقلوبين في كل زاوية.
![]() |
| الواجهة الشرقية الخارجية: المدخل والسبيل |
تتكون الواجهـة الخارجية الشرقيـة بدءاً من الشمال من واجهة السبيل، وهي نافذة كبيرة مزوّدة بقضبان حديدية تعلوها قوس مجزوءة وتحتها جرن مردوم، يليه باب المدخل الذي بني ضمن إطار تتناوب فيه الحجارة السوداء والصفراء وتعلوه قوس مجزوءة مزررة بسيطة. على طرفيها مثلثان بارزان بينهما نجمة سداسية يعلوها نص مكون من خمسة أسطر، يتكون كل سطر من ثلاثة أقسام، كتب باللغة العثمانية والخط العربي. وفي الأعلى إفريز يضم ثلاثة صفوف من المقرنصات الناعمة المزخرفة، يليها سطح مائل يصل واجهة الباب البارزة قليلاً بالجدار خلفها. فوق المدخل نافذتان الأولى مستطيلة، وتعلو الثانية قوس مجزوءة مزررة بسيطة. يلي المدخل جنوباً واجهة القاعة، وهي مكونة من طابق واحد، وتضم نافذتين يعلو كلاً منهما قوس مجزوءة لها مفتاح بارز هرمي، وفي الأسفل عتبة مكونة من قطعة حجرية واحدة، وبين النافذتين في الأسفل طاقة للقبو مزودة بالحديد فوقها نافذة صغيرة تعلوها قوس مجزوءة فوق عتبة مكونة من قطعة حجرية واحدة سُدَّ فراغها لاحقاً. وأعلى الواجهة ميزاب بسيط ثم إفريز بسيط، يلي ذلك نافذتان مستطيلتان ليستا على الارتفاع نفسه، فوقهما نافذة مربعة تعلوها قوس مستقيمة مقوسة الطرفين، تليهما واجهة القبلية، وهي تضم ثلاث نوافذ مستطيلة أخفض من السابقة يعلو كلاً منها ساكف مكوّن من قطعة حجرية واحدة. وفي آخر الواجهة شمسية صغيرة ضيقة تعود إلى الغرفة الصغيرة تعلوها قوس نعل الفرس المدببة ذات المراكز الأربعة.
![]() |
| المدخل |
تضم الواجهة الجنوبيةالخارجية نافذتين يعلو كلاً منهما قوس مجزوءة، وفي الأعلى بينهما شمسية ضيّقة مماثلة لتلك الموجودة في الواجهة الشرقية. وتتكون الواجهة الداخلية الجنوبية للباحة بدءاً من الشرق من باب القبلية تعلوه قوس مجزوءة فوقها لوحة مستطيلة تضم نصاً تعلوه شمسية تعلوها قوس مدببة ذات المراكز الأربعة. تبرز إلى الأمام نافذتان تعودان إلى الميضأة، يبدو من طراز بنائهما أنهما بُنيتا في وقت لاحق، وتحيط بكل منهما أفاريز، ويعلو كلاً منهما قوس مجزوءة تعلوها جبهة مثلثية بارزة تضم أفاريز ومكعبات منحوتة، وترتكز في الطرفين على ظفرين حلزونيين مزخرفين. وأعلى الواجهة إفريز من المكعبات الحجرية.
![]() | ![]() |
| تفصيل الزخرفة فوق باب المدخل | الطرف الشرقي من الواجهة الجنوبية الخارجية |
وتضم الواجهــة الشمالية للباحة نافذة وباباً تليه نافذتان؛ ثمَّ باباً في الطابق الأرضي، فوقها أربع نوافذ تعود إلى الطابق الأول الذي كان من أصل البناء، ويصعد إليه عبر درج ضمن بوابة تقع شمال السبيل. يعلو كلاً من النوافذ والباب قوس مجزوءة. وهناك في الوسط لوحة من الرخام الأبيض يحيط بها إطار من الرخام الأسود تضم نصاً شعرياً مكوناً من ثلاثـة أسطرباللغة العثمانية والخط العربي.
![]() | ![]() |
| مدخل القبلية | واجهة شمالية - داخلية |
بُنيت الواجهــة الشرقية للباحة- كما يبدو من طراز بنائها- في العصر العثماني المتأخر. يتقدم الواجهة شرفة خلفها في الوسط باب تعلوه قوس جرسيّة على كل من طرفيها شكل نجمي مثمّن في وسطه وردة، وفي المثلثين على طرفي القوس زخارف نباتية. وعلى كل من طرفي الباب نافذة تعلوها قوس توءمية معلّقة نصف دائرية لها مفتاح بارز ويحيط بها أفاريز. وقد زخرف باطن القوس بشرّافات مخرمة تعطيها شكلاً مفصصاً، وفي المثلثين على طرفي القوس زخارف نباتية، ويحيط بالقوس كاملة إطار من الخطوط المتعرجة. وفي أعلى الواجهة زخارف تشبه الستارة يعلوها صفٌّ من المكعبات ثم أفاريز متدرجة.
![]() | |
| واجهة غربية - داخلية: القاعة شرقي الباحة |
وتتكون الواجهـة الغربية للباحة من جزأين: الجزء الأول بدءاً من الشمال من أصل البناء، وهو يتكون من غرفة تطل على الباحة بنافذتين وباب يعلو كلاً منها قوس مجزوءة وتعلوها ثلاث شمسيات يعلو كلاً منها قوس نعل الفرس المدببة ذات المراكز الأربعة. أما القسم الثاني فهو يعود إلى غرفتين تضمان نافذة وباباً يليها باب أعلى من سابقه، ويعلو كلاً منها قوس مجزوءة بارزة لها مفتاح حلزوني بارز ومزخرف، وهو الشكل الذي شاع في عمائر العصر العثماني المتأخر؛ ممّا يدل على أن هذا الجزء من الواجهة قد بُني في وقت لاحق.
مراجع للاستزادة: محمد أسعد طلس، الآثار الإسلامية والتاريخية في حلب (مديرية الآثار العامة، حلب ١٩٥٦م). - محمد كامل الغزي، نهر الذهب في تاريخ مدينة حلب (دار القلم، حلب ١٩٩١م). - فردينان توتل اليسوعي، «الشيخ أبو الوفا الرفاعي في المشرق»، العدد ٣٨- ٣٩ (١٩٤١م). - فيصل رفاعي، حلب بين التاريخ والهندسة (جامعة حلب، 1996م). - لمياء جاسر، دور المتصوفة في مدينة حلب (حلب 2007م). -- نجوى عثمان، دراسة نقائش العهد العثماني في محافظة حلب المباني وشواهد القبور، برنامج التعاون الإقليمي السوري التركي، مديرية أوقاف حلب، المكتبة الوقفية، ٢٠١٠م. |
- التصنيف : آثار إسلامية - المجلد : المجلد الثامن مشاركة :








